Prevén lluvias puntuales

‘Milton’ se degrada a categoría 4 frente a costas de Yucatán; descartan impacto en México

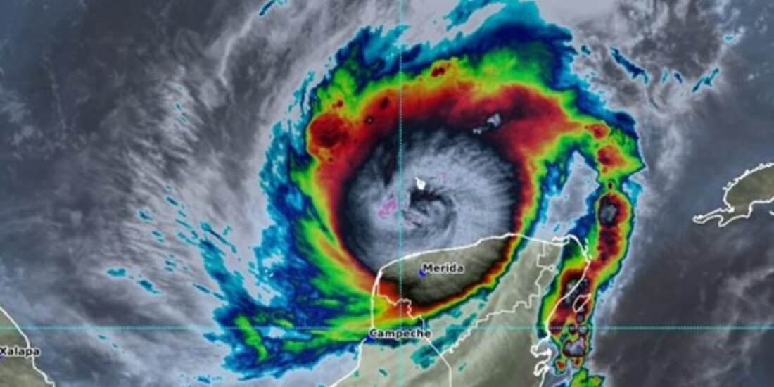
El Servicio Meteorológico Nacional informó que el huracán “Milton” se degradó a categoría 4 y continúa su desplazamiento hacia el este a 15 kilómetros por hora

‘Milton’ se degrada a categoría 4 frente a costas de Yucatán.
‘Milton’ se degrada a categoría 4 frente a costas de Yucatán. Foto: Especial.

El Servicio Meteorológico Nacional (SMN) informó que el huracán “Milton” se degradó a categoría 4 y continúa su desplazamiento hacia el este a 15 kilómetros por hora. También descartó que el fenómeno toque tierra en costas de Yucatán.

“Su centro se localiza a 85 kilómetros al nor-noreste de Dzilam y a 118 kilómetros al oeste-noreste de Río Lagartos, ambas localidades de Yucatán”, informó en un comunicado.

Además, mencionó que “Milton” presentó vientos máximos sostenidos de 250 kilómetros por hora, rachas de viento de 280 kilómetros por hora y un desplazamiento hacia el este a 15 kilómetros por hora.

El Servicio Meteorológico Nacional indicó que “Milton” mantendrá lluvias puntuales torrenciales en Campeche y Yucatán, e intensas en Quintana Roo, Tabasco y Veracruz.

El SMN alertó a la población que las lluvias generadas por el huracán podrían generar deslaves, incrementar los niveles en ríos y arroyos, así como desbordamientos e inundaciones.

Por lo anterior, pidió a la población atender los avisos del Servicio Meteorológico Nacional, de la Comisión Nacional del Agua (Conagua) y seguir las recomendaciones de Protección Civil.

El gobierno de Yucatán instaló el Comité de Emergencias del Consejo Estatal de Protección Civil para dar seguimiento a las afectaciones que podría dejar el fenómeno.

“No debemos bajar la guardia, lo más importante es salvaguardar la integridad física de la población”, aseveró el gobernador del estado, Joaquín Díaz Mena, al continuar su recorrido por los municipios de la costa yucateca.

Desde temprana hora el gobernador inició un recorrido de supervisión que continúa por las comisarías de Chelem y Chicxulub, Chuburná Puerto, así como por Telchac y Dzilam de Bravo, donde ha podido constatar que los refugios se encuentran listos,

En tanto, la presidenta Claudia Sheinbaum pidió a la población yucateca tomar precauciones y, en caso de ser necesario, acudir a los albergues instalados para resguardarse durante el paso del huracán.

"Se prevén fuertes lluvias y vientos, podría tocar tierra entre Celestún y Progreso, en Yucatán. Les pedimos estar atentos a las instrucciones oficiales de los gobiernos federal y estatal", escribió la mandataria federal.