A las 22:00 horas

"Roslyn" toma fuerza; se convierte en huracán categoría 1

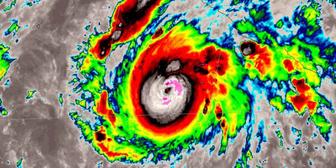
De acuerdo a la Conagua, "Roslyn" se localiza a 290 kilómetros al sur-suroeste de Manzanillo, Colima; mantiene vientos máximos sostenidos de 140 kilómetros por hora

"Roslyn" se convierte en huracán categoría 1.
"Roslyn" se convierte en huracán categoría 1. Foto: Especial.

A las 22:00 horas, tiempo del centro de México, “Roslyn” evolucionó a huracán categoría 1 en la escala Saffir-Simpson, informó la Comisión Nacional del Agua (Conagua).

De acuerdo a la dependencia federal se localiza a 290 kilómetros al sur-suroeste de Manzanillo, Colima, y a 320 al sur de Playa Pérula, Jalisco, con vientos máximos sostenidos de 140 kilómetros por hora, rachas de 165 y desplazamiento hacia el oeste-noroeste a 11 kilómetros por hora.

Sus extensas bandas nubosas mantendrán lluvias intensas en regiones de Colima, Guerrero y Michoacán, y muy fuertes en sitios de Jalisco, así como rachas de viento de 60 a 80 kilómetros por hora con oleaje de 3 a 5 metros de altura en las costas de Colima, Jalisco y Michoacán, así como rachas de 50 a 60 kilómetros por hora y oleaje de 1 a 3 metros de altura en el litoral de Guerrero.

El Servicio Meteorológico Nacional (SMN) en coordinación con el Centro Nacional de Huracanes de Miami, Estados Unidos de América activan nueva zona de prevención por efectos de huracán desde Playa Pérula, Jalisco hasta El Roblito, Nayarit.

También se incluyen las Islas Marías y una zona de vigilancia por efectos de huracán desde el norte de El Roblito, Nayarit, hasta Mazatlán, Sinaloa. Otra Zona de prevención por efectos de tormenta tropical desde el sur de Playa Pérula, Jalisco, hasta Manzanillo, Colima.

JVR

Temas: