Funcionarios de meteorología de Japón informaron que un potente tifón se está acercando al oeste y al este del país, donde llegaría el martes.
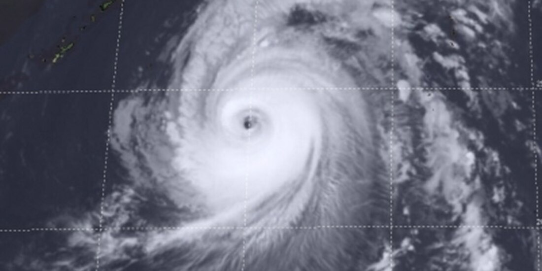
La Dirección de Meteorología de Japón señaló que para el mediodía del domingo, el tifón Jebi se desplazaba hacia el noroeste desde el sur a una velocidad de 20 kilómetros por hora.
El fenómeno climático tiene una presión atmosférica central de 935 hectopascales y unos vientos de hasta 180 kilómetros por hora en su centro, indicó la cadena NHK.
Se pronostica que cambiará de dirección gradualmente hacia el norte y que se aproximará a la región de la isla de Daito, prefectura de Okinawa, el lunes, donde habrá fuertes vientos y olas altas.
La predicción es similar para el oeste y el este de Japón a lo largo de la costa del océano Pacífico en la jornada del martes, además de lluvias torrenciales en el oriente y en el occidente del país, mientras que en la zona norte se intensificarían las lluvias y los vientos el miércoles.
ntb

