El Servicio Meteorológico Nacional (SMN) mantiene al huracán Delta en categoría 4; aunque informó que bajó la intensidad de sus vientos no se debilitó, como informó el gobernador de Quintana Roo, Carlos Joaquín González.
“Los vientos del huracán Delta son de 215 kilómetros por hora, pero están dentro del rango de categoría 4”, escribió en su cuenta de Twitter la Comisión Nacional del Agua, entidad a cargo del SMN.
Según los pronósticos, debido a que el fenómeno hidrometeorológico comenzó a tocar tierra, provocó que se debilitara, al mismo tiempo incrementó su presión, lo que indica que es muy difícil que vuelva a subir de categoría antes del impacto.
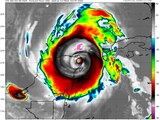
En un comunicado, Conagua informó a las 22:50 horas de este martes que las bandas nubosas del huracán "Delta", considerado extremadamente peligroso, cubren la Península de Yucatán y el sistema sigue desplazándose hacia el oeste-noroeste a 26 kilómetros por hora (km/h).
"De mantener su actual trayectoria su centro entrará a tierra durante las próximas horas en las inmediaciones de Cozumel, Quintana Roo, con vientos máximos sostenidos superiores a 200 km/h y rachas de 270 km/h", informa Conagua.
El ciclón tropical se mantiene como categoría 4 en la escala Saffir-Simpson, agrega el comunicado, y generará lluvias torrenciales (de 150 a 250 milímetros [mm]) en Campeche, Quintana Roo y Yucatán, muy fuertes (de 50 a 75 mm) en el norte de Chiapas y Tabasco, y fuertes (de 25 a 50 mm) en el noreste de Oaxaca y el sur de Veracruz.
En su transmisión en vivo, González dijo que el punto de entrada al territorio es en Puerto Morelos y se tiene previsto que a la media noche comiencen a sentirse los efectos del meteoro.
KA

