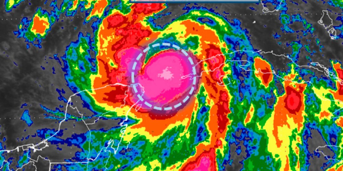
La Comisión Nacional del Agua (Conagua) informó que Nate ya es huracán categoría 1 en la escala Saffir-Simpson y se encuentra ingresando al Golfo de México.
#Nate se convierte en huracán categoría 1; se localiza a 105 km de Quintana Roohttp://t.co/VD0opkMZBd pic.twitter.com/DwDMIEesIw
— La Razón de México (@LaRazon_mx) 7 de octubre de 2017
De acuerdo con los últimos reportes, el fenómeno meteorológico se localiza a 105 km al noreste de Cabo Catoche, Quintan Roo.
Las bandas nubosas de Nate están favoreciendo a las rachas de viento, superiores a los 60 km/h y a sus oleajes de 2 a 4 metros de altura.
El gobierno de Quintana Roo informó de la suspensión de clases en siete municipios en todos los niveles ante el paso del fenómeno meteorológico Nate.
Tras la sesión informativa sobre la tormenta, el gobernador Carlos Joaquín instruyó activar protocolos de seguridad por Nate que se encuentra en alerta naranja.
cls

